Zamek znów będzie miał basztę

Ze słynnej mapy Schneidera, odnalezionej w latach 80. na dachu kaplicy zamkowej, wynika, że to tu właśnie brało swój początek tajemne przejście pod Odrą z zamku do klasztoru dominikanek. O czym mowa? O starej baszcie, która istniała w południowo-wschodnim narożu i wróci do zamkowego krajobrazu.
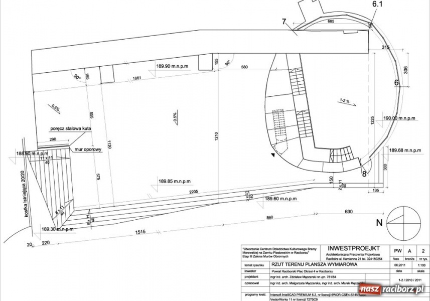
Ze słynnej mapy Roberta Schneidera, odnalezionej w latach 80. w sygnaturce na dachu kaplicy zamkowej, wynika, że to tu właśnie brało swój początek tajemne przejście pod Odrą z zamku do klasztoru dominikanek p.w. św. Ducha (obecnie Muzeum). O czym mowa? O starej baszcie, która istniała w południowo-wschodnim narożu i wkrótce wróci w tym miejscu do zamkowego krajobrazu. Starostwo Powiatowe zdecydowało bowiem, że w ramach odbudowy zamku będzie również rekonstruowany ten ciekawy element dawnych umocnień piastowskiej siedziby.
Zakres realizowanych już prac obejmuje:
I etap - roboty betonowe, żelbetowe i murowe w części podziemnej baszty, zasypanie z zagęszczeniem wykopów w rejonie baszty, wykonanie schodów do części piwnicznej i warstw podbudowy oraz ułożenie nawierzchni z kostki granitowej wraz z wykonaniem schodów z terenu dziedzińca na teren przy baszcie;
II etap – roboty betonowe, żelbetowe i murarskie części nadziemnej baszty, schody o konstrukcji drewnianej prowadzące na ganek przy murze obronnym, pokrycie murów z blachy cynowo-tytanowej, ogrodzenie z kutych elementów stalowych na cokole z cegły gotyckiej, osadzenie krat okiennych z kutych elementów stalowych, nawierzchnię wewnątrz baszty z kostki granitowej, opaskę żwirową z obramieniem z krawężnika kamiennego.
Dodajmy, że wykonawca kładzie współcześnie wypalaną cegłę gotycką w historycznym gotyckim wątku na zaprawie cementowo-wapiennej z wykonaniem fug gotyckich. Warto również wspomnieć, że w piwnicy starej baszty w 2002 r. odkryto zamurowane przejście w stronę Odry.
agencja zamek









![Słodkie imperia dawnego Raciborza. Nocne zwiedzanie z degustacją [ZAPROSZENIE] Słodkie imperia dawnego Raciborza. Nocne zwiedzanie z degustacją [ZAPROSZENIE] - Serwis informacyjny z Raciborza - naszraciborz.pl](photos/_thumbs/mini_1774473728gemini-generated-image-97wlcl97wlcl97wl-.png)









![25 bohaterów uhonorowanych. Akcja krwiodawstwa z zielonym akcentem w Raciborzu [FOTO i WIDEO] 25 bohaterów uhonorowanych. Akcja krwiodawstwa z zielonym akcentem w Raciborzu [FOTO i WIDEO] - Serwis informacyjny z Raciborza - naszraciborz.pl](photos/_thumbs/mini_1774436076krew-.jpg)















![Dzień otwarty w Akademii Nauk Stosowanych w Raciborzu [FOTO] Dzień otwarty w Akademii Nauk Stosowanych w Raciborzu [FOTO] - Serwis informacyjny z Raciborza - naszraciborz.pl](photos/_thumbs/mini_1774456568ans-354-kopia-.jpg)























Komentarze (0)
Aby dodać komentarz musisz być zalogowany