Propozycje zmiany planu przestrzennego dla Płoni

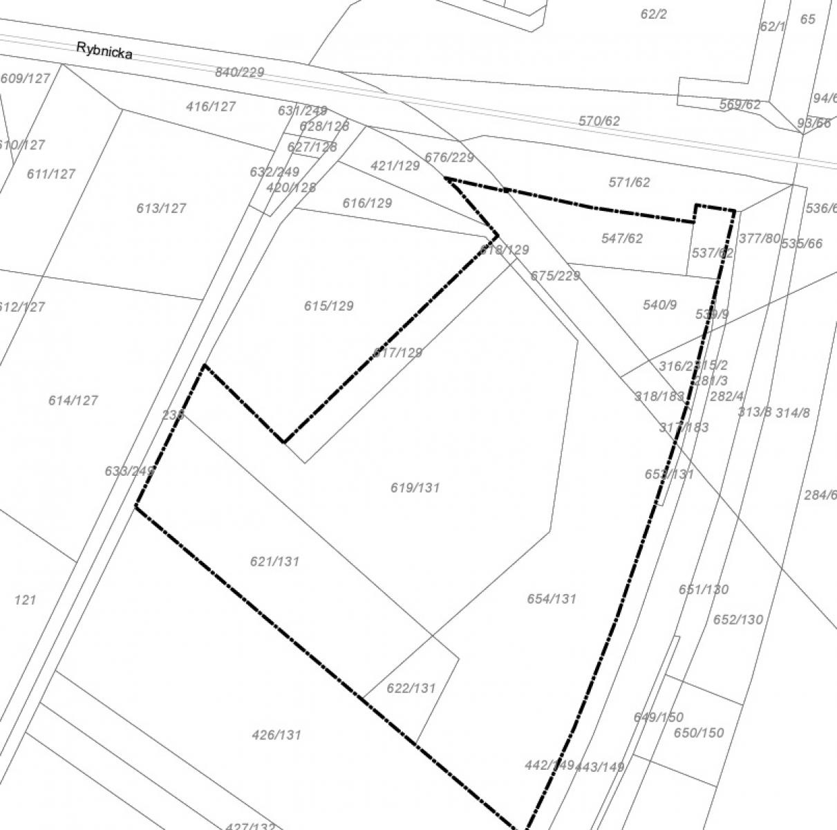
Przedstawiony już radnym projekt uchwały dotyczy działek przy Łużyckiej, Jana Badury i Rybnickiej.
Inicjatywa wszczęcia procedury zmiany planu przestrzennego, określającego warunki wykorzystania terenu, wyszła od prezydenta. Proponowane nowe rozwiązania są – jak zapewniono w uzasadnieniu – zgodne ze Studium uwarunkowań i kierunków zagospodarowania przestrzennego miasta Raciborza. Lokalizację działek można obejrzeć na mapach w galerii. Projekt dostępny [TUTAJ]
Prezydent przedstawił serię proponowanych zmian dla całego obszaru Raciborza. Większość, jak informuje rzecznik Urzędu Miasta, dotyczy przeznaczenia działek na tereny zabudowy mieszkaniowej jednorodzinnej na wniosek mieszkańców lub inwestorów. W dwóch przypadkach chodzi o działki usługowe. Zainteresowanych szczegółami odsyłamy do ratusza.





![Racibórz w 2026 roku spodziewa się ponad 22 mln zł ze sprzedaży mienia gminnego [LISTA OFERT] Racibórz w 2026 roku spodziewa się ponad 22 mln zł ze sprzedaży mienia gminnego [LISTA OFERT] - Serwis informacyjny z Raciborza - naszraciborz.pl](photos/_thumbs/mini_1718734316-dsc1592-easy-resize-com-.jpg)













![Rodzice przeciwni łączeniu dwóch przedszkoli z SP 18 [LIST DO REDAKCJI] Rodzice przeciwni łączeniu dwóch przedszkoli z SP 18 [LIST DO REDAKCJI] - Serwis informacyjny z Raciborza - naszraciborz.pl](photos/_thumbs/mini_1752733214473090246-9220030134685296-7074520657951529944-n-.jpg)


































Komentarze (0)
Dodaj komentarz